(1)トレンチ調査の概要

小坂地区におけるT9−3トレンチは、古文書調査により1799年金沢地震時に生じた可能性が推定される撓曲崖状の地形を対象として行った。

T9−3トレンチの掘削は、極浅層部反射法弾性波探査(小坂測線)で地下に複数の断層が推定される測点30mから測点140mの間の110mの区間のうち、地形的に撓曲崖の疑いがある測点50m付近の南側約70mのレンコン畑で行った。

T9−3トレンチの結果の詳細は次項以降に示すが、結果的には明瞭な断層は確認できず、液状化の痕跡が確認された。

@目 的

極浅層部反射法弾性波探査の結果、測点30m付近から測点140m付近にかけての区間に断層が複数存在することが推定された。また、地形的には測点50m付近から80m付近にかけて撓曲崖状を示しており、同地域は古文書調査においても1799年金沢地震時に地形の変状が発生した可能性が推定される。

以上のことより、トレンチにより断層が確認できる可能性が高いと考えられることから、トレンチ調査を行うこととした。

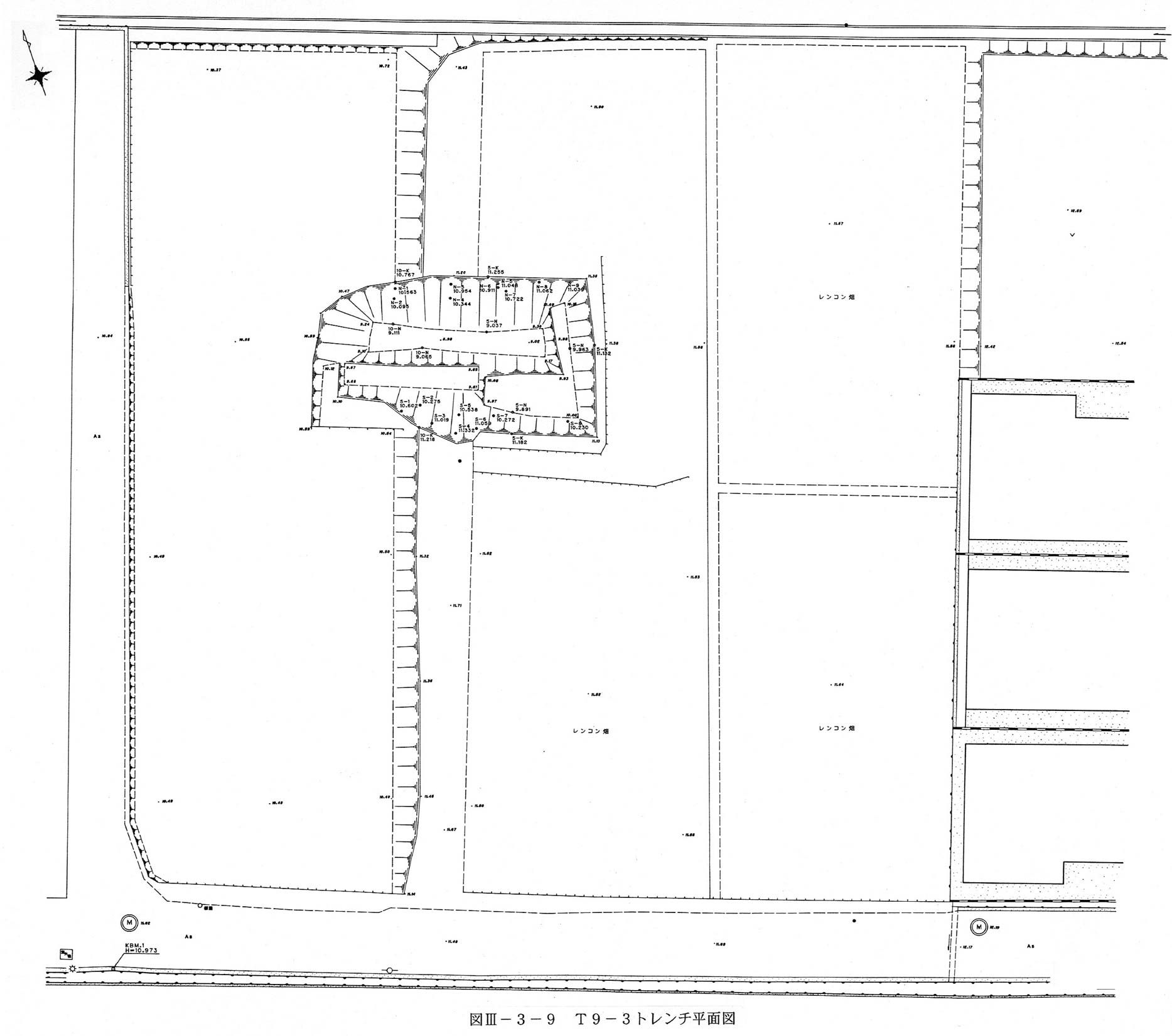
Aトレンチ位置の選定

T9−3トレンチは用地的な制約もあり、極浅層部反射法弾性波探査の測線よりやや南側のレンコン畑で行うこととした(図3−3−1図3−3−2)。このレンコン畑には幅約5m、比高約1.5mの撓曲崖状の斜面が見られ、トレンチはこれを跨ぐような位置に設定した。

B調査年月日

掘削年月日:1997年1月21日〜2月7日

C調査仕様

(a)掘削経緯

・T9−3トレンチの掘削

簡易測量により設定された範囲について、パワーショベルを用いてトレンチを掘削した。掘削深は約4mとした。

・T9−3トレンチの整形

パワーショベルを用いて掘削したトレンチの壁面を、人力により平滑に整形した。

・T9−3トレンチ壁面の観察

整形の結果、断層活動による地層の顕著な変形は認められなかったが、液状化の痕跡が見られたことから、N面・S面・E面の3面について、地層を丹念に観察するとともに1/20スケールのスケッチを作成した。

・平板測量・水準測量

T9−3トレンチの掘削がすべて完了した時点で平板測量・水準測量を行った。

・埋め戻し

調査がすべて完了した時点で掘削した土砂を埋め戻し、地形・地物を現状復帰した。埋め戻しに際しては、今後の耕作に支障をきたさないよう、耕作土に他の土砂が混入しないよう注意しながら作業を進めた。

(b)掘削規模

トレンチの最終的な掘削規模は以下の通りとなった。

T9−3トレンチ:長さ15m×幅8m×深さ4m

T9−3トレンチの詳細な形態を図3−3−9に示す。